Skip to main content

Florida Blueberry Leaf Disease Guide

Douglas A. Phillips, Norma C. Flor, and Philip F. Harmon


This publication is intended for Florida blueberry growers to use as a diagnostic field guide in the identification and management of common leaf diseases on southern highbush blueberry (SHB). Management recommendations include fungicide applications and horticultural inputs intended to reduce disease severity.

Introduction

Southern highbush blueberry (SHB) cultivars are commercially grown throughout much of Florida, in both deciduous and evergreen production systems. Growers in deciduous production should strive to keep leaves healthy through flower bud differentiation in fall to ensure optimum yield potential. In evergreen production, it is critical to maintain the prior year's foliage through winter months to support early fruit production the following season. In both systems, leaves can be damaged by many factors, such as environmental conditions, chemical applications, insects, and diseases.

This publication includes basic information to assist growers in determining 1) the likely cause (fungal, viral, algal, or bacterial) of leaf symptoms, 2) when specific leaf spots are likely to occur, 3) characteristic symptoms of common leaf problems, and 4) some of the available management options. Not all diseases can be definitively diagnosed by symptoms because symptoms can vary over time and on different blueberry cultivars. Symptoms with different causes can have similar appearances, and more than one disease can occur on the same leaf. Growers should consult UF/IFAS Extension or use a lab diagnostic service. Blueberry disease samples can be sent to the UF/IFAS Plant Diagnostic Center (plantpath.ifas.ufl.edu/extension/plant-diagnostic-center) or another diagnostic lab for accurate identification of the problem.

Several leaf diseases affect SHB in Florida and have the potential to defoliate bushes. For fungal leaf diseases, growers have many effective chemical management options; however, proper product selection and timing of application depends on correct disease diagnosis. Because fungicides are only effective for fungal diseases, differentiating between symptoms caused by fungi and other factors can help prevent unnecessary fungicide use and costs.

The first step in diagnosing the cause of leaf symptoms in blueberries is to determine if the cause is an abiotic factor (e.g., environmental conditions such as freeze or drought stress, nutrient deficiency or toxicity, herbicide damage, mechanical damage, etc.) or a biotic factor (e.g., plant pathogens). Abiotic and biotic factors are not mutually exclusive; in fact, some abiotic factors can increase biotic susceptibility. A University of Florida blueberry scouting guide to be released in the future will contain images of many different leaf symptoms caused by a variety of abiotic problems as well as diseases. Specific information about differentiating and managing blueberry leaf diseases is presented below.

General key for leaf symptoms:

A. Round or irregular spots (lesions), usually surrounded by a dark border or yellow halo. Spots may be cultivar-specific and will usually increase in number over time in a nonuniform, random pattern before causing leaves to fall from the bush. In some cases, tiny black pimple-like reproductive structures and/or pustules (masses of spores) can be seen with a hand lens: Fungal disease (1)

B. Pale yellow to white discoloration of leaves, usually accompanied by red blotches on the stems or canes: Algal disease (2)

C. Red, purple, or black rings of discoloration on leaves. Centers of rings usually remain green. Rings may grow together or form concentric patterns of discoloration and are usually most visible on older leaves, which may or may not fall prematurely. No spores or reproductive structures are observed: Viral disease (3)

D. Plants look wilted and some or all canes have a marginal leaf burn. The burn on the leaf edge progresses inward, sometimes leaving a green oak-leaf pattern in the center. Dead leaves do not fall from the bush. No spores or reproductive structures are observed: Bacterial disease or abiotic stress (4)

1. Fungal Diseases

1.1. Irregular lesions with a red-to-brown center and a darker border, ranging in size from 1/4 inch (around 6 mm) to one inch or more (25 mm), often associated with a bud or twig blight. Leaf symptoms can occur any time of the year, with twig and bud blight being more common in winter through harvest. Lesions may look similar to Phyllosticta: Phomopsis

1.2. Uniform, small, nearly round lesions with light gray centers and a dark purple border, less than 1/4 inch (up to 6 mm). Most common from harvest until late spring and again in late fall to early winter: Septoria

1.3. Bright yellow-orange pustules of spores visible on the underside of leaves, small (roughly 1/4 to 3/8 inch [6–10 mm]), somewhat angular dark brown lesions surrounded by red or yellow on upper leaf surfaces. Most common late harvest through early summer and again in fall: Rust

1.4. Large circular or irregular lesions 1/4 to 3/4 inch (6–20 mm) across, dark brown with a yellow halo. Concentric patterns of shades of lighter and darker brown sometimes resemble a bull's-eye pattern. Lesions usually appear on the leaf edge from early summer through fall: Anthracnose

1.5. Lesions of 3/8 inch or less (10 mm), reddish to brown with an angular or irregular shape and a dark brown border. Concentric patterns of light gray to dark brown sometimes with a bull's-eye pattern. Most common in mid to late summer: Target spot

1.6. Chestnut brown lesions with a darker thin border with distinct tiny black pimples throughout, similar in size to anthracnose (roughly 1/8 to 3/4 inch [10–20 mm]). Most common in late summer through fall. Lesions may look similar to Phomopsis: Phyllosticta

1.7. Dense patches of powdery white growth that can be rubbed off easily present on the leaf surface. Usually accompanied by red discoloration. Almost exclusively a problem in high-tunnel production or greenhouse-grown plants: Powdery mildew

2. Algal Disease

2.1. Early symptoms include small red blotches or lesions on green juvenile stems. These lesions expand to form irregular cankers that can encircle canes. Leaves on symptomatic canes bleach white to pale yellow, and growth of the entire plant can be severely stunted as the disease advances. Although not common, leaf infections can also occur with bright orange spots of algal growth: Algal stem blotch

3. Viral Diseases

3.1. Red rings on upper leaf surfaces only, primarily on older leaves. Rings also observed on stems. Visible year-round, persists year to year: Blueberry Red Ringspot Virus

3.2. Dark purple to black rings of dead tissue with green centers that occur on both sides of a leaf. Many rings can grow together into unusual shapes and patterns. Most common in late summer, does not persist year to year: Blueberry Necrotic Ring Blotch Virus

3.3. Highly irregularly shaped red concentric rings on upper and lower surface of leaves. No rings on stems. Does not persist year to year: Red variant of Blueberry Necrotic Ring Blotch

4. Bacterial Diseases

4.1. Marginal-irregular leaf scorch, may appear similar to bacterial wilt or drought stress. Initial symptoms are observed on leaves attached to individual stems or groups of stems on one side of a plant. Plant vigor is reduced; stems and twigs of some cultivars acquire a distinctive yellow color, and the bushes eventually die: Bacterial leaf scorch

4.2. Marginal leaf burn and wilting. The crowns of infected blueberry plants have an internal mottled discoloration of light brown to silvery-purple blotches with ill-defined borders. Wood chips floated in water from the crowns of plants with bacterial wilt stream bacterial ooze: Bacterial wilt

Fungal Leaf Diseases

Phomopsis Twig Blight and Leaf Spot

The pathogen Phomopsis vaccinii causes canker, twig blight, and fruit rot diseases and is occasionally associated with leaf spots. However, it is currently of minor importance on SHB in Florida. Phomopsis is characterized by irregular lesions on the leaf surfaces or edges. The lesions have a red-brown center surrounded by a darker border (Figure 1) and are very similar to those caused by Phyllosticta leaf spot. Phomopsis also produces reproductive structures (pycnidia) similar to but slightly larger than those produced in Phyllosticta lesions.

 

Figure 1. Phomopsis leaf and stem symptoms.
Figure 1.  Phomopsis leaf and stem symptoms.
Credit: N. Flor, UF/IFAS

 

Septoria

Septoria leaf spot is a common and prevalent disease in the southeastern United States caused by Septoria albopunctata. Severe infections can decrease yield due to reduced levels of photosynthesis, premature defoliation, and reduced flower bud production. Septoria spots are numerous but small (about 1/8 inch) and nearly circular. Spots have light-brown to gray centers with broad purplish margins (Figure 2). The lesions can grow together into larger necrotic areas prior to defoliation. Symptoms tend to be more severe on older leaves which are close to the ground. Reproductive structures (pycnidia) of the fungus are very small and are rarely found in the lesions. The disease typically occurs from mid to late harvest through June and may reappear during mild wet periods in fall.

 

Figure 2. Septoria leaf spot.
Figure 2.  Septoria leaf spot.
Credit: P. Harmon, UF/IFAS

 

Disease Cycle

S. albopunctata can overwinter in infected or dead leaves and stems, or on other plant hosts. Spore germination and infection are favored by mild wet weather (75°F–82°F). Initial lesions serve as an inoculum source for further disease development. Spores are spread by water splash (rain and overhead irrigation).

Management

Applications of protective and systemic fungicides with different modes of action help to reduce Septoria leaf spot severity. Fungicides of FRAC group 3, such as Orbit™, Indar™, Quash™, Quilt Xcel™ and Proline, and fungicides of other FRAC groups, such as Luna Tranquility (FRAC 7 & 9), Abound™ (FRAC 11), Switch™ (FRAC 9 & 12), Pristine™ (FRAC 11 & 7), and Bravo™ (FRAC M5), are effective against this disease. Systemic phosphite fungicides such as Agri-Fos™, ProPhyt™ and similar phosphonate products are also effective against Septoria; however, they must be applied after harvest to avoid possible fruit damage.

Rust

In Florida, this disease is caused by Naohidemyces vaccinii (formerly Pucciniastrum vaccinii). Infected bushes can show premature defoliation, decreased floral bud differentiation, and reduced yield. Different levels of susceptibility to this disease can be found in SHB; for example, certain cultivars, such as 'Jewel', are known to be highly susceptible.

Symptoms are initially observed on the upper leaf surface and begin as small, somewhat angular yellow spots that turn reddish brown to black over time. Symptoms tend to be limited by larger leaf veins, resulting in lesions with parallel straight or angular sides. Multiple black-to-red lesions can occur on the same leaf, ultimately turning the leaves yellow and red (Figure 3) before causing defoliation. Brightly colored yellow to orange spores are produced on the underside of the leaf, opposite the lesions on the upper leaf surface. Masses of these spores are key to distinguishing this disease from other leaf spots (Figure 4). This disease gets its name from the distinctive rust color of these spores.

 

Figure 3. Rust lesions on the upper leaf surface.
Figure 3.  Rust lesions on the upper leaf surface.
Credit: P. Harmon, UF/IFAS

 

 

Figure 4. Rust reproductive spores on the leaf underside.
Figure 4.  Rust reproductive spores on the leaf underside.
Credit: P. Harmon, UF/IFAS

 

Disease Cycle

Rust spores are spread efficiently by wind. The pathogen must have a living host to survive. In central Florida, the fungus survives mild winters on evergreen plants of Vaccinium species, in the environment surrounding production fields, or in blueberry plants in protected culture (such as high-tunnel production). In evergreen production in central and south Florida, the pathogen is known to survive in infected leaves that remain attached to the plants throughout winter. Symptoms occasionally are observed on fruit when high levels of leaf symptoms persist from the previous season, although fruit infection is not common. New leaf infections can begin in spring during or just after harvest, and disease activity increases again in early fall.

Management

Applications of fungicides are the best method of control. Systemic fungicides can move into the infected leaves and potentially stop rust development. However, most products will only reduce or delay the amount of sporulation because fungicides do not effectively kill the fungus inside the leaf. Fungicides do a better job protecting against new infections, so making repeated applications to maintain a protective residue on the leaves is key to preventing the disease. Fungicides such as Orbit™, Indar™, Quash™, Proline™ (FRAC 3), Pristine™ (FRAC 11 & 7) and Bravo™ (FRAC M5) are effective against rust. Applications should begin after harvest and continue through late October on susceptible cultivars. Fungicides with different modes of action should be used in rotation or in a tank mix and as part of an integrated post-harvest foliage management strategy.

Anthracnose

Note: anthracnose can cause symptoms on leaves, stems and berries. For additional information, see Anthracnose on Southern Highbush Blueberry (https://edis.ifas.ufl.edu/pp337).

Anthracnose leaf spot (also known as Gloeosporium leaf spot) is caused by Colletotrichum gloeosporioides. This disease can cause premature defoliation, poor bud development, and subsequent loss of yield. Typical symptoms are circular to irregularly shaped lesions expanding from 1/4 inch to greater than 3/4 inch in diameter. The centers of the lesions are necrotic and range from brown to dark brown, with distinct concentric circles occasionally visible (bull's-eye patterns) (Figures 5 and 6). These symptoms occur frequently at the edges of the leaves. Following extended moist conditions, examining the leaf spots with a dissecting microscope or a good hand lens will sometimes reveal tiny blister-like acervuli (spore-producing structures) with orange to salmon spore masses (Figure 7). Note that these are much smaller than rust pustules and not routinely observed. Anthracnose leaf disease is common after harvest in Florida and persists through summer. Blueberry cultivars differ in their susceptibility; 'Jewel' is considered very susceptible.

 

Figure 5. Anthracnose leaf spot lesion.
Figure 5.  Anthracnose leaf spot lesion.
Credit: P. Harmon, UF/IFAS

 

 

Figure 6. Anthracnose leaf spot symptoms.
Figure 6.  Anthracnose leaf spot symptoms.
Credit: P. Harmon, UF/IFAS

 

 

Figure 7. Orange spore masses of the anthracnose pathogen Colletotrichum erupting through a blueberry leaf spot, as viewed through a hand lens.
Figure 7.  Orange spore masses of the anthracnose pathogen Colletotrichum erupting through a blueberry leaf spot, as viewed through a hand lens.
Credit: M. Velez-Climent, UF/IFAS

 

Disease Cycle

The fungus overwinters in infected leaves and stems from the previous season. In spring, when the weather gets warmer and more humid, the fungus produces spores called conidia. Conidia are spread by splashing water (rain or overhead irrigation), workers, and equipment. Once conidia land on plant tissue, they germinate and initiate new infection cycles through summer and into fall.

Management

Many registered fungicides are labeled for anthracnose on blueberry in Florida. Applications work best before symptoms become severe. On susceptible cultivars, applications to manage foliage health through flower bud differentiation should begin after post-harvest pruning, with reapplications according to label instructions through September. Demethylation inhibitor (DMI) fungicides (FRAC 3) such as Indar™, Orbit™, Quash™, Quilt Xcel™, and Proline™ are options to be used in rotation or in tank mixtures with compatible products from another group to help prevent fungicide resistance. Fungicides with different modes of action such as Luna Tranquility™ (FRAC 7 & 9), Abound™ (FRAC 11), Pristine™ (FRAC 11 & 7), Switch™ (FRAC 9 & 12), and captan (FRAC M4) are suitable for rotation with DMI fungicides. Single applications of Bravo™ (FRAC M5) are also recommended after harvest. Anthracnose resistance to Abound™ and other FRAC group 11 fungicides has been confirmed in central Florida, so these should be used in a premix product with two active ingredients or tank-mixed with another fungicide like captan to ensure efficacy. Fungicides with mono- and dipotassium salts of phosphorous acid have systemic action and include Agri-Fos™, K-Phite™, and ProPhyt™ (potassium phosphite). These "phites" have shown some effectiveness against anthracnose.

Target Spot

Target spot is caused by Corynespora cassiicola. The fungus has a wide host range and was first reported in blueberry in the United States in 2014. Florida growers have observed severe defoliation on many SHB cultivars since then. Typical symptoms are 1/3- to 3/8-inch angular to irregular reddish-brown lesions. As the lesions expand, color can vary in concentric rings, resulting in a "target" or bull's-eye pattern (Figures 8 and 9). Symptoms can be difficult to differentiate from early symptoms of anthracnose leaf spot, and both diseases can occur on susceptible varieties at the same time. However, target spot lesions tend to remain smaller, whereas anthracnose leaf spots can increase to larger than 1/2 inch in diameter. Fewer target spot lesions are required before leaves fall from the bush compared to anthracnose.

 

Figure 8. Target spot symptoms.
Figure 8.  Target spot symptoms.
Credit: P. Harmon, UF/IFAS

 

 

Figure 9. Target spot symptoms.
Figure 9.  Target spot symptoms.
Credit: P. Harmon, UF/IFAS

 

Disease Cycle

Limited information exists on the epidemiology of this fungus in blueberry. In other crops, C. cassiicola overwinters in plant debris or alternative plant host species. Environmental conditions such as humid weather, temperatures between 79°F–84°F, and moderate rainfall favor profuse fungal sporulation and rapid disease development. In the field, spores can be spread by wind or water splash (rain or irrigation).

Management

Growers have reported difficulty managing target spot once symptoms become apparent and severe. Preventive fungicide applications where the disease is known to occur or careful scouting for the first disease symptoms are encouraged. Limiting periods of leaf wetness and high humidity within the blueberry canopy also may help reduce disease severity and can be achieved by avoiding overhead irrigation, maintenance pruning to open canopies, and weed management in beds and row middles to increase air flow. No fungicide resistance is known at this time, and most fungicides that are used to manage anthracnose and rust should be effective against target spot. SHB varieties vary in their susceptibility to target spot, and ongoing research will provide additional information. Growers should ensure good, even coverage with spray equipment to increase the efficacy of the fungicides applied.

Phyllosticta

Phyllosticta leaf spot is caused by Phyllosticta vaccinii. This disease is more common later in the summer (August–September) than anthracnose. Symptoms are mahogany brown leaf spots with irregular borders. Lesions range from small (less than 1/4 inch) to larger than one inch (6–25 mm) prior to causing defoliation. Lesions typically are surrounded by a dark brown to purple margin. A distinguishing feature of this disease is the presence of tiny black fungal pimples (pycnidia, the reproductive structures) that develop within the lesions (Figure 10). However, other fungi, including some that do not cause disease, can also produce small black structures on dead or decaying leaves. This disease is common in Florida, but it is considered to be of minor importance.

 

Figure 10. Phyllosticta leaf spot symptoms.
Figure 10.  Phyllosticta leaf spot symptoms.
Credit: P. Harmon, UF/IFAS

 

Disease Cycle

Limited information exists about the infection process and epidemiology of this disease in blueberry.

Management

There are no published fungicide recommendations for Phyllosticta leaf spot management on blueberry in Florida; however, in other crops (cranberry, maple), related diseases are managed with applications of the contact fungicide Bravo™ (FRAC M5). General maintenance applications of contact fungicides like Bravo™ or captan are recommended after harvest as needed or approximately every two weeks (for up to 6 weeks).

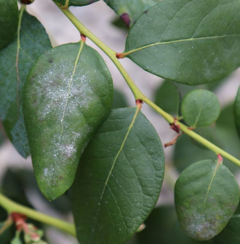
Powdery Mildew

Powdery mildew, caused by Microsphaera vaccinii, is a common disease of blueberries in greenhouses, high tunnels, or other protected production systems throughout the United States; however, the disease is usually not severe enough to affect fruit production. Powdery mildew rarely causes symptoms on SHB in the field in Florida. This disease is favored by extended high humidity, but not rain or overhead irrigation. Signs of the fungus are present as the first symptoms of disease and include white dense powdery mycelia and microscopic chains of conidia covering the leaf surfaces (Figure 11). Other symptoms may include irregular red discoloration of leaves. These spots can be confused with symptoms caused by viruses but have fungal structures, usually on the underside of affected leaves.

 

Figure 11. Powdery mildew leaf symptoms.
Figure 11.  Powdery mildew leaf symptoms.
Credit: N. Flor, UF/IFAS

 

Management

Chemical control is not usually necessary; however, for sanitation or under high disease pressure, demethylation inhibitor (FRAC 3) fungicides such as Orbit™, Quash™, and Tilt™ are recommended. Fungicides with dual modes of action such as Pristine™ (FRAC 7 & 11) (succinate dehydrogenase and quinone outside inhibitors) are also effective.

General Fungal Leaf Disease Management

Horticultural inputs can help reduce the likelihood and severity of fungal leaf diseases. Disease is favored by leaf wetness and high humidity. Drip irrigation can help reduce moisture in the canopy compared to overhead irrigation. When overhead must be used, timing applications to correspond to periods when dew is present, reduces additional duration of leaf wetness. Maintenance pruning of bushes to increase air flow can help dry canopies, as can a good weed management program for rows and row middles. Implementation of good sanitation practices is also recommended to help reduce disease pressure. Remove diseased plant debris from the field to help reduce numbers of fungal spores available to cause disease.

When using fungicides, plan applications to minimize the selection for fungicide resistance. Strategies to do this include utilizing fungicides with different modes of action (FRAC groups) in tank mixes or rotations. Avoid the exclusive use of a single fungicide or active ingredient (Table 1) and follow all fungicide label directions, including minimum recommended rates, total applications per season, and utilizing an integrated disease management strategy.

Algal Leaf Diseases

Algal Stem Blotch

Algal stem blotch is a disease caused by the parasitic green alga Cephaleuros virescens Kunze. The alga is thought to enter the plant through natural wounds and openings, pruning cuts, or by direct penetration of the cuticle. Early symptoms include small red blotches or lesions on green juvenile stems. Leaves on symptomatic canes bleach white to pale yellow (Figure 12), and growth of the entire plant can be severely reduced as the disease advances. Leaf yellowing tends to occur on a few canes of each plant and differs from symptoms of nutritional deficiency in being less uniform and blotchier. Although not common, leaf infections can also occur with bright-orange spots of algal growth (Figure 13). For additional information, see Algal Stem Blotch in Southern Highbush Blueberry in Florida (https://edis.ifas.ufl.edu/pp344).

 

Figure 12. Leaf whitening from algal stem blotch.
Figure 12.  Leaf whitening from algal stem blotch.
Credit: P. Harmon, UF/IFAS

 

 

Figure 13. Leaves with Cephaleuros virescens reproductive growth.
Figure 13.  Leaves with Cephaleuros virescens reproductive growth.
Credit: P. Harmon, UF/IFAS

 

Viral Diseases

Blueberry Red Ringspot Virus

Blueberry red ringspot virus (BRRV) causes symptoms on leaves, stems, and (rarely) fruit of susceptible cultivars. BRRV leaf symptoms include numerous, roughly circular red rings (1/4 inch in diameter) with healthy light green centers (Figure 14). The rings (lesions) are more prevalent on the upper surfaces of older leaves and are not usually observed on younger leaves or lower leaf surfaces. In fall, older leaves may cup and turn red prior to defoliation. Green stems also develop red rings during summer months that are visible through winter (Figure 15). Although BRRV persists in the plant from year to year, it does not appear to severely affect yield. There is no known vector of this virus; it is thought to be spread by propagation from infected, asymptomatic mother plants.

 

Figure 14. Red ringspot virus on leaf.
Figure 14.  Red ringspot virus on leaf.
Credit: D. Phillips, UF/IFAS

 

 

Figure 15. Red ringspot lesions on stems.
Figure 15.  Red ringspot lesions on stems.
Credit: P. Harmon, UF/IFAS

 

Blueberry Necrotic Ring Blotch Virus

Blueberry Necrotic Ring Blotch Virus (BNRBV) produces irregular rings of brown to purple discoloration visible on both upper and lower leaf surfaces (Figure 16). Similar to red ringspot virus, rings have healthy green centers. Rings can expand and coalesce to form splotchy patterns on leaf surfaces prior to defoliation. A variant strain of the virus where the lesions appear as red concentric irregular rings and unusual patterns has been observed in Florida but is not common (Figure 17). BNRBV is believed to be vectored by a species of mite and does not persist in the plant from one year to the next. This disease is not thought to have a significant impact on yield, although in severe cases summer defoliation can occur.

 

Figure 16. Purple necrotic ring blotch lesions.
Figure 16.  Purple necrotic ring blotch lesions.
Credit: P. Harmon, UF/IFAS

 

 

Figure 17. Red variant of necrotic ring blotch.
Figure 17.  Red variant of necrotic ring blotch.
Credit: P. Harmon, UF/IFAS

 

Leaf Wilt and Scorch Symptoms

Leaves on plants that experience a lack of water for any number of reasons tend to show similar wilt followed by scorch (marginal burn) symptoms (Figures 18 and 20). A lack of soil moisture, salt stress (excessive fertilizer), and root-rotting or vascular-clogging diseases are common causes of wilt and scorch encountered in Florida SHB production. Abiotic factors such as drought, salt burn, or herbicide damage will generally affect weeds as well as blueberry in a uniform or predictable pattern associated with the application of fertilizer or herbicides. Check for potential abiotic causes of leaf scorch before considering potential disease issues. Examples of diseases that cause these types of symptoms include the following:

 

Figure 18. Bacterial scorch leaf symptoms.
Figure 18.  Bacterial scorch leaf symptoms.
Credit: P. Harmon, UF/IFAS

 

 

Figure 19. Bacterial leaf scorch on 'Meadowlark' blueberry (left) showing leaf symptoms, decline, and yellowing of stems.
Figure 19.  Bacterial leaf scorch on 'Meadowlark' blueberry (left) showing leaf symptoms, decline, and yellowing of stems.

 

Bacterial Leaf Scorch

Bacterial leaf scorch, caused by Xylella fastidiosa, was identified on blueberry in 2006 in the southeastern United States. Symptoms start as a marginal-irregular leaf scorch (Figure 18). Initial symptoms are observed on leaves attached to individual stems or groups of stems on one side of a plant. Plant vigor is reduced, stems and twigs of some varieties such as 'Meadowlark' acquire a distinctive yellow coloration (Figure 19), and the bushes eventually die. Diseased plants are typically observed randomly scattered throughout a field, rather than in distinct circles or groups within a row. Infected plants should be removed and destroyed. This bacterium is vectored by insects called sharpshooters and spittle bugs including the glassy-winged sharpshooter (Homalodisca vitripennis). Infection levels may be reduced by controlling the vector with recommended insecticides.

Bacterial Wilt

Plants with bacterial wilt show signs of drought stress, such as marginal leaf burn and wilting (Figure 20). Infected plants may also be prone to developing severe symptoms of other stress diseases, such as stem blight. Ralstonia can be spread easily in water, soil, or infected plant material. For additional details on bacterial wilt, see Bacterial Wilt of Southern Highbush Blueberry Caused by Ralstonia solanacearum (https://edis.ifas.ufl.edu/pp332).

 

Figure 20. Bacterial wilt leaf symptoms.
Figure 20.  Bacterial wilt leaf symptoms.
Credit: P. Harmon, UF/IFAS

 

 

Figure 21. Calendar of blueberry leaf disease activity and potential fungicide management options.
Figure 21.  Calendar of blueberry leaf disease activity and potential fungicide management options.

 

References

Brannen, P., and P. Smith. 2018. Southeast Regional Blueberry Integrated Management Guide. University of Georgia College of Agricultural and Environmental Sciences and the U.S. Department of Agriculture.

Brent, K.J., and D.W. Hollomon. 2007. Fungicide Resistance in Crop Pathogens: How Can It Be Managed? 2, Revised Edition. Fungicide Resistance Action Committee, Brussels, Belgium.

Fungicide Resistance Action Committee. 2019. FRAC Code List ©2019: Fungal control agents sorted by cross resistance pattern and mode of action (including FRAC Code numbering).

Harmon, P.F., C. Harmon, and D. Norman. 2016. Bacterial Wilt of Southern Highbush Blueberry Caused by Ralstonia solanacearum. PP332. Gainesville: University of Florida Institute of Food and Agricultural Sciences. https://edis.ifas.ufl.edu/pp332

Hongn, S., A. Ramallo, O. Baino, and J.C. Ramallo. 2007. "First Report of Target Spot of Vaccinium corymbosum Caused by Corynespora cassiicola." Plant Dis. 91: 771.

Norman, D.J., A.M. Bocsanczy, P. Harmon, C.L. Harmon, and A. Khan. 2018. "First Report of Bacterial Wilt Disease Caused by Ralstonia solanacearum on Blueberries (Vaccinium corymbosum) in Florida." Plant Dis. 102: 438.

Onofre, R.B., J.C. Mertely, F.M. Aguiar, S. Timilsina, P. Harmon, G.E. Vallad, and N.A. Peres. 2016. "First Report of Target Spot Caused by Corynespora cassiicola on Blueberry in North America." Plant Dis. 100: 528.

Pernezny, K., M. Elliot, A. Palmateer, and N. Havranek. 2017. Guidelines for Identification and Management of Plant Disease Problems: Part II. Diagnosing Plant Diseases Caused by Fungi, Bacteria and Viruses. PP249. Gainesville: University of Florida Institute of Food and Agricultural Sciences. https://edis.ifas.ufl.edu/mg442

Phillips, D.A., M.C. Velez-Climent, P.F. Harmon, and P.R. Munoz. 2018. Anthracnose on Southern Highbush Blueberry. PP337. Gainesville: University of Florida Institute of Food and Agricultural Sciences. https://edis.ifas.ufl.edu/pp337

Phillips, D.A., N.C. Flor and P.F. Harmon. 2018. Algal Stem Blotch in Southern Highbush Blueberry in Florida. PP344. Gainesville: University of Florida Institute of Food and Agricultural Sciences. https://edis.ifas.ufl.edu/pp344.

Polashock, J.J., F.L. Caruso, A.L. Averill, and A.C. Schilder. 2017. Compendium of Blueberry, Cranberry and Lingonberry Diseases and Pests. Second Edition. American Phytopathological Society, St. Paul, Minnesota, USA.

Robinson, T.S., H. Scherm, P.M. Brannen, R. Allen, and C.M. Deom. 2016. "Blueberry necrotic ring blotch virus in Southern Highbush Blueberry: Insights into In Planta and In-Field Movement." Plant Dis. 100: 1575–1579.

University of Wisconsin. 2005. Early Rot in Wisconsin. Special factsheet.

Williamson, J.G., P.F. Harmon, O.E. Liburd, and P. Dittmar. 2019 Florida Blueberry Integrated Pest Management Guide. HS1156. Gainesville: University of Florida Institute of Food and Agricultural Sciences. https://edis.ifas.ufl.edu/hs380

Williford, L.A., A.T. Savelle, and H. Scherm. 2016. "Effects of Blueberry red ringspot virus on Yield and Fruit Maturation in Southern Highbush Blueberry." Plant Dis. 100: 171–174.